宮古島の思い出 その1
更新日:2025-08-22
目次
新城海岸(あらぐすく)
あらぐすくと読みます。
ナビで「しんしろ」で検索しても出てこないので要注意。
(もしかしたら、「あらぐすく」でも出てこないかもしれないけど。。)
夏は駐車場代が500円かかる時がありました。
駐車場は他のビーチと比べると広いので、基本的には停められると思います。
シャワーは無料で、駐車場の入口の手前にあります。
来る時の坂道の幅が細く、しかも側溝があるので、帰りは左側の側溝に要注意。
海は遠浅で、波もほとんどないので、宮古島の中では一番安心して泳げると思います。
干潮の時は、歩いて珊瑚がある場所まで行けるので、
小さな子供でも潜らずに、上から魚を見ることができます。
但し、潮が引いていることに気付かずに、奥の方まで行ってしまうと、
サンゴが水面ギリギリになり、泳いで帰ってこれなくなる時があるので要注意です。
サンゴの上を歩くと、サンゴを傷つけることにもなりますし、
素足で歩くと、足の裏を切ります。
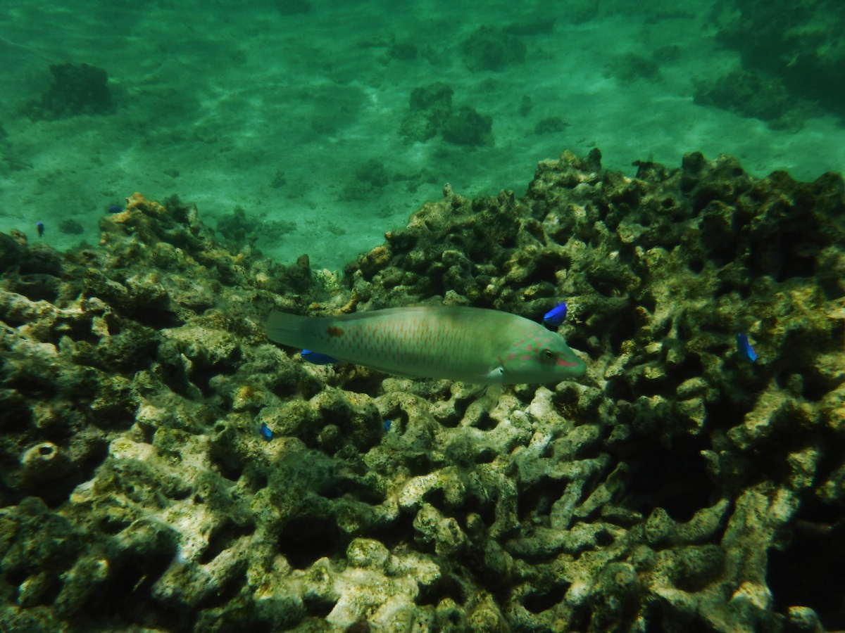
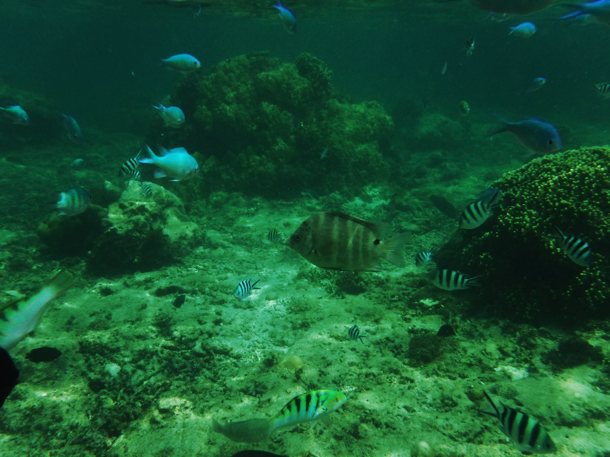
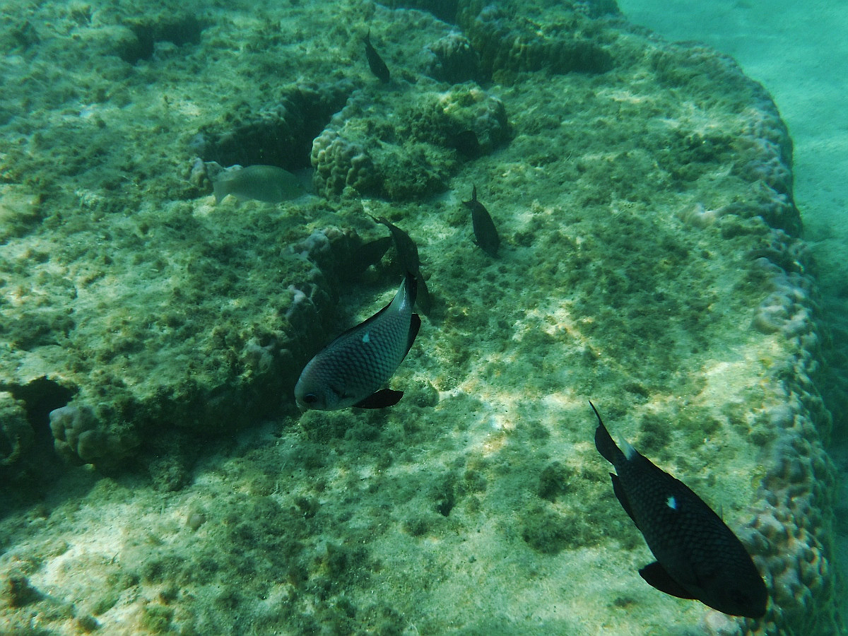
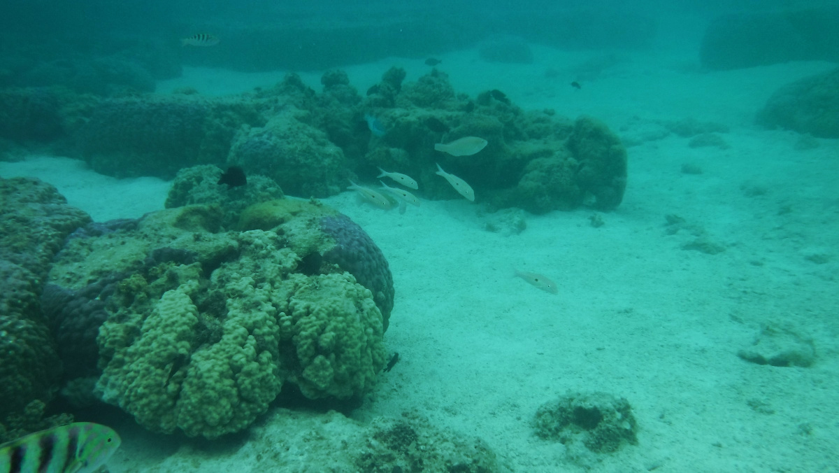
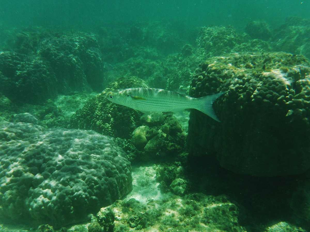
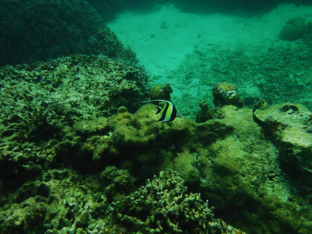
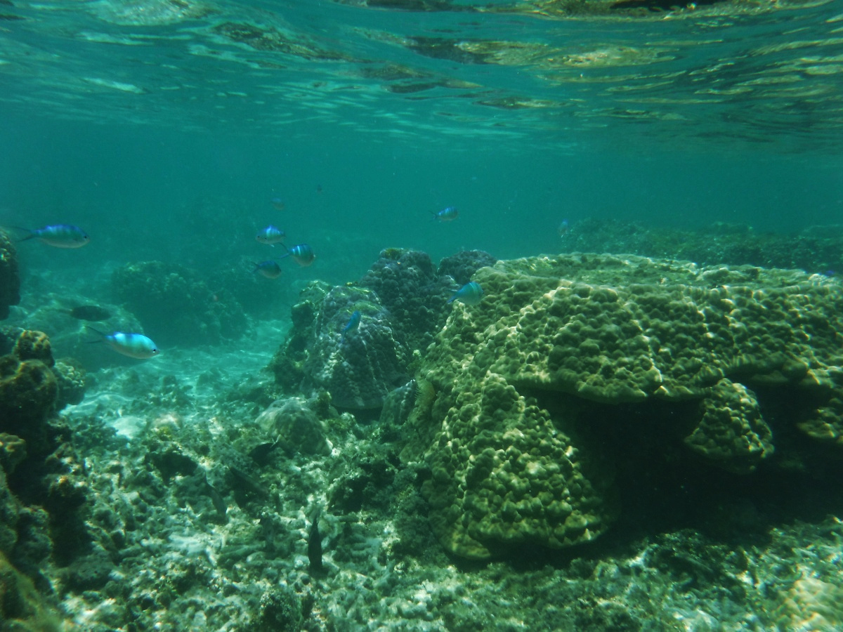
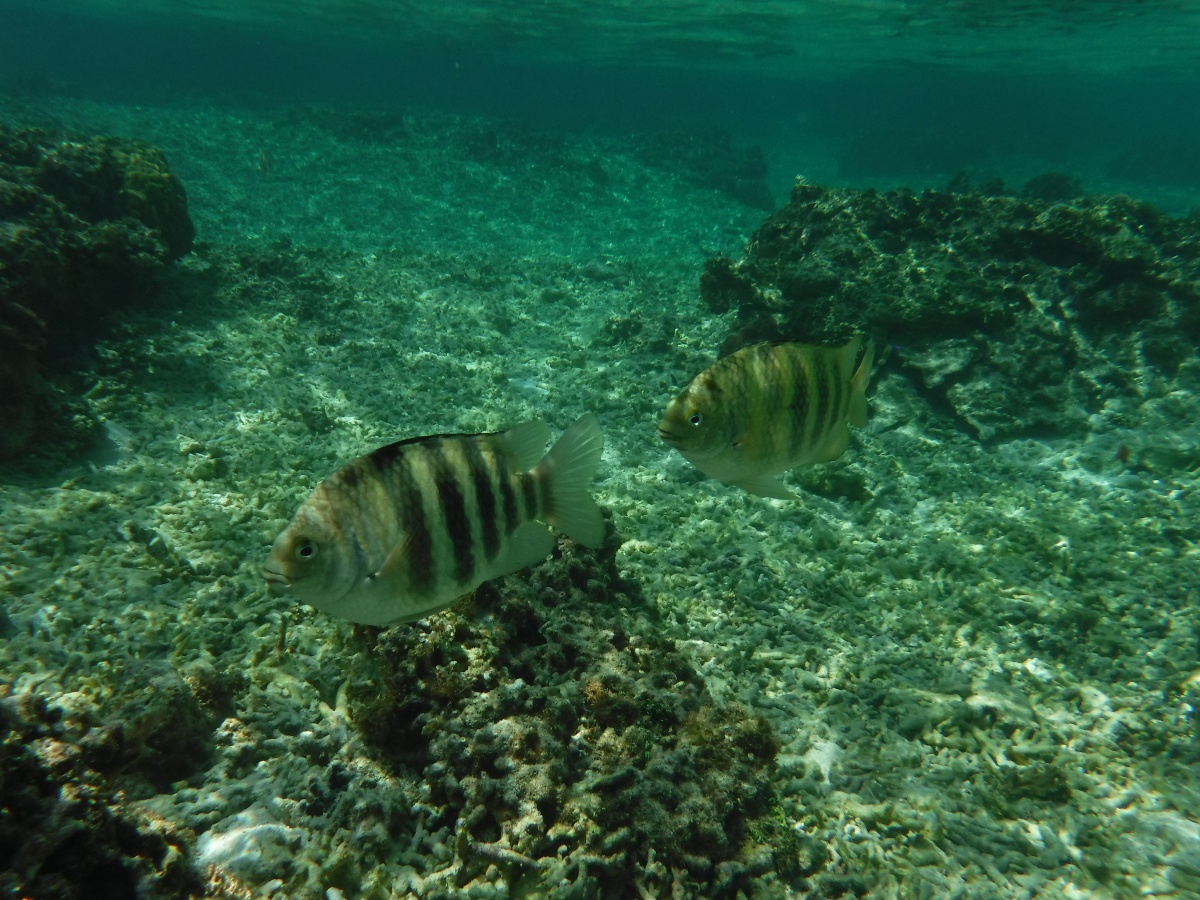
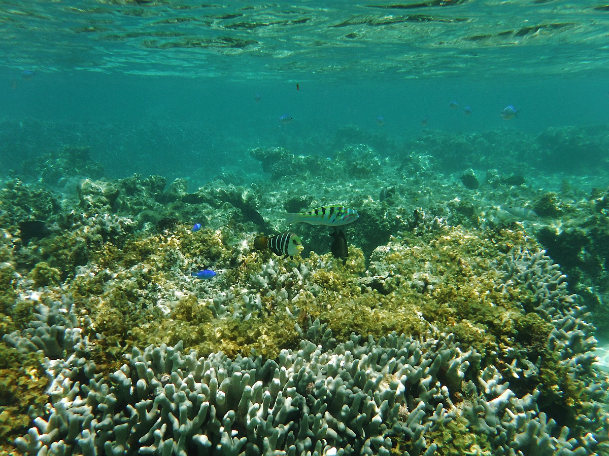
海の中は、カラフルな珊瑚がないため、慣れるまで不気味に感じるかもしれません。
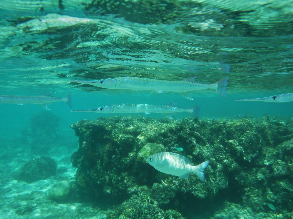
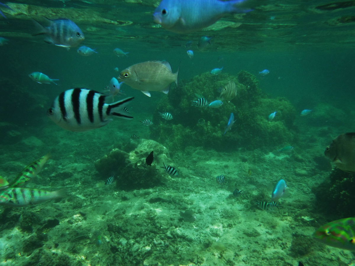
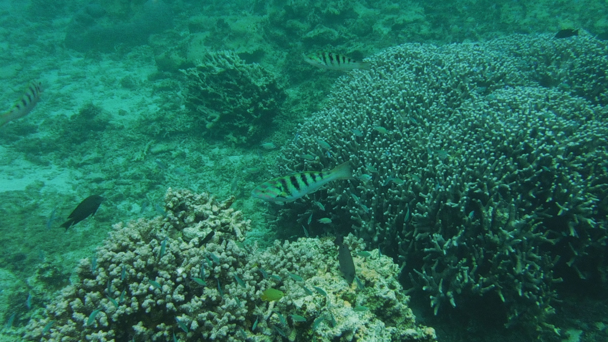
魚は結構いますが、黒やグレーと言った暗い色の魚が多いです。
たまに、たくさん水色の魚がいたり、大きな魚がいる時もあります。
カクレクマノミもいますので、探してみてください。
また、水中カメラがあるのとないのとでは、全然楽しさが違いますので、是非持って行ってください。
もし持ってきてない場合は、ヤマダ電機やドンキホーテもあるので、現地で買うこともできます。
モバイルバッテリーがあるとさらに安心です。
水温は、ゴールデンウイークの5月上旬ですと、天気にもよりますが、結構冷たいです。
我慢をすれば、泳げないことはないです。
10月上旬は、5月上旬よりもかなり暖かく、ちょうど良いくらいでした。
11月には行ったことがありませんが、11月くらいでも泳げるかもしれません。
雨の日は、少しの雨であれば、シュノーケルを楽しめます。
外から海を見ると暗く見えますが、意外と海の中に入ると、よく見えます。
ビーチのお店の方に聞いて見るのも良いかもしれません。
以前、天気が悪い時に行ったら、駐車場に着いた時に、
今日は波が強くて泳ぐのは難しいと、親切に教えてくれました。
ちなみに、私は1人で行きますが、お一人様でも全然気にならないです。
たくさんはいませんが、1人で来られている方もいます。
最初は抵抗がありましたが、1度シュノーケルをしたら、そんなことはどうでも良くなりました。
それくらい宮古島の海は、素敵なところです。
与那覇前浜ビーチ
宮古島と言えば与那覇前浜ビーチと言うくらい、ものすごくキレイで有名なビーチです。
ただ立って海を眺めているだけで、どんどん時間が過ぎて行きます。
水草やサンゴがないため、海の色がすごくキレイな青のグラデーションがかかって見えます。
但し、魚がいないのか、あまり泳いでる人はいないです。
また、駐車場は2か所あります。帰る時に間違えないように注意してください。
砂山ビーチ
駐車場にトイレと無料のシャワーがあります。
駐車場は狭いため、結構満車になってることが多いです。
但し、泳がずに、写真を撮ってすぐに帰る人が多いので、入れ替えは激しいと思います。
駐車場からビーチまでは、距離的には短いですが、高低差がかなりあるので、帰りの上りは結構疲れます。
もし泳ぎたい場合は、帰ってくる人に波の様子や泳いでる人がいるかを聞いてみるのも良いかもしれません。
何度か行きましたが、結構波が強い印象があります。
但し、干潮の時は遠浅になり、神秘的な美しさになります。
いつ干潮になるのかを調べてから行くのも良いかもしれません。
吉野海岸
泳ぐ場合は、駐車料金が500円くらいかかります。
泳がずに観光だけなら、車でビーチまで行って良いらしいのですが、駐車するスペースはほとんどありません。
駐車場に無料のシャワーがあります。
ビーチへは、駐車場で水着に着替えて、駐車場から出ている車に乗っていきます。
帰りは、私が行った時は、携帯で連絡をして迎えに来てもらう形式でした。
びしょ濡れのまま車に乗って大丈夫です。
水着でない場合は、席が濡れていないか確認した方が良いかも。
海は、かなり浅いです。
海に入るとすぐにサンゴだらけになり、サンゴに遮られて、迷路のようになっています。
そのため、新城海岸と同じく、潮が引いている時は要注意です。
魚はたくさんいます。波も穏やかなので、シュノーケルに最適です。
逆に、しっかり泳ぎたい場合は、サンゴにぶつかってしまうので、不向きかもしれません。
また、ビーチには日陰がないので、海に入らずに長時間滞在する場合は要注意です。
海に入る場合は、休憩中は頭にタオルでもかけておけば大丈夫だと思います。
インギャーマリンガーデン
結構有名なスポットです。
泳いだことがないので、どのくらい魚がいるのかわからないのですが、シュノーケルをしてる人はいます。
人は少なめの印象。
天気の悪い写真ばかりなのでわかりづらいのですが、実際はもっとキレイです。
波がないので、他のビーチの波が強い時は、こちらに来てみるのも良いと思います。
宮古島の思い出
その2 パイナガマビーチ、佐和田の浜、中の島海岸、渡口の浜、東平安名崎
その3 池間ブロック、池間大橋・世渡橋、ムイガー断崖絶壁、伊良部大橋、来間大橋
その4 通り池、うえのドイツ文化村、宮古島海中公園、宮古島市総合博物館、宮古島の街
その5 宮古空港、雪塩ミュージアム、ホテルアトールエメラルド宮古島

































































































































































